처리되었습니다!
목록으로

연립주택,다세대,빌라 | 안양지원 2024타경109013

물건 대표 사진
법원 안양지원
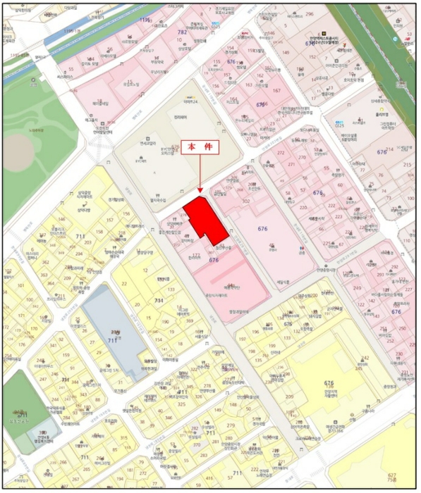
주소 경기도 안양시 만안구 안양로291번길 34-15 13층1305호 (안양동,원평노블레스12차) [집합건물 철근콘크리트구조 72.97㎡] 네이버 지도
감정가 437,000,000원
최저가 349,600,000원
상태 유찰 8회
감정평가요항 / 특이사항
감정평가요항표 요약 1. 구분건물감정평가요항표 1) 위치 및 주위환경 본건은 경기도 안양시 만안구 안양동 소재 "삼덕공원" 남동측 인근에 위치하며, 주위는 단독 주택 및 다세대주택, 근린생활시설 등이 소재하는 시장주변 상가지대로서 제반 주위 환경은 보통인 편임. 2) 교통상황 본건까지 차량출입 및 주정차가 가능하고, 인근 및 근거리에 노선버스정류장 및 안양역(1호 선)이 소재하는 바 정류장까지의 거리 및 운행빈도 등으로 보아 제반 대중교통사정은 보통인 편임. 3) 건물의 구조 철근콘크리트구조 평스라브지붕 13층 건물 내 13층 1305호로서, 외벽 : 석재붙임 마감 등, 내벽 : 벽지 및 일부 타일 마감 등, 창호 : 하이샷시 창호임. 4) 이용상태 연립주택으로 이용중이며, 상세이용상황은 후첨 "건물이용 및 임대현황도" 참조 바람. 5) 설비내역 위생설비 및 급배수설비, 승강기설비, 지하주차장, 난방설비 등이 되어 있음. 6) 토지의 형상 및 이용상태 인접지대비 등고평탄한 사다리형 토지로서, 주상용 건부지로 이용중임. 7) 인접 도로상태등 본건 북서측으로 노폭 약 8미터, 북동측으로 노폭 약 5미터 내외의 아스팔트 포장도로에 각 각 접함. 8) 토지이용계획 및 제한상태 일반상업지역 , 소로2류(폭 8m-10m)(접합) , 소로3류(폭 8m 미만)(접합), 가로구역별 최고높 이 제한지역<건축법>, 대기관리권역<대기관리권역의 대기환경개선에 관한 특별법>, 교통기타 용도지역지구미분류(대도시권)<도로법>, 도시교통정비지역<도시교통정비촉진법>, 화재경계지 구<소방기본법>, 과밀억제권역<수도권정비계획법>임. 9) 공부와의 차이 없 음. 10) 기타참고사항(임대관례 및 기타) 본건은 임차권등기명령에 의거 임차보증금 379,000,000원이 설정되어 있음. 인근매각물건사례
AI 권리분석 (Auto)
V 3.0 Pro
회원 전용 정밀 분석
로그인하고 시작하기